Buskers and street entertainers
Before you can apply to be a street entertainer, you will need to register with the licensing service.
Once registered, if your application is successful, you will be able to busk at 4 authorised places in Uxbridge town centre.
Your registration will last 2 years. After this point, your registration will need to be renewed or it will expire.
To be a performer, you must meet the nature and standards set by the authority.
When and where can I busk?
There are only 4 locations in the borough where street entertainment is allowed.
Individual sessions are limited to 2 hours - from 10am to midday, or 2pm to 4pm. A licence will be valid for 1 pitch per session only.
Designated street entertainment pitches
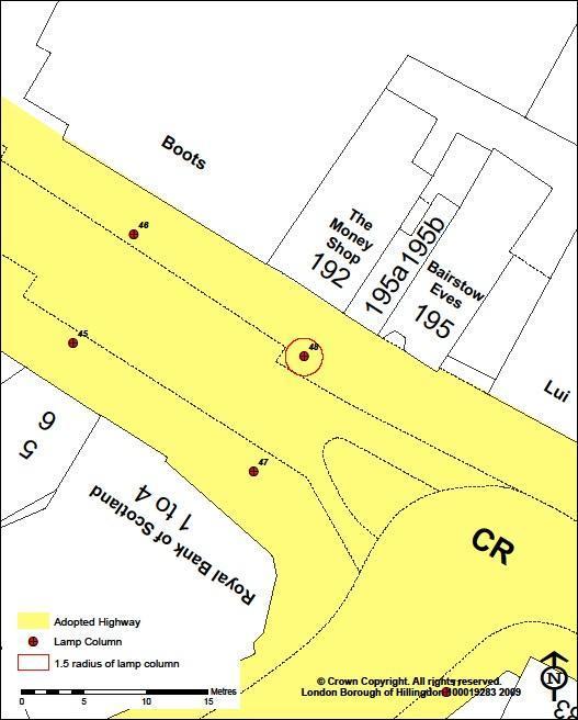
The locations that are designated as street entertainment pitches are shown below, marked with a red circle. These represent a 1.5 metre radius from numbered street light columns.
Select a map below to enlarge the image
Busking maps
| Pitch 1 (lamp post 13) |
Pitch 2 (lamp post 19) |
Pitch 3 (lamp post 34) |
Pitch 4 (lamp post 48) |
![]() |
![]() |
![]() |
![]() |
Important information about pitches
- All pitches are on High Street, Uxbridge. No other places in Hillingdon are designated as street entertainment pitches.
- Permission, if granted, does not allow the sale of goods or services, or collection of money for charity.
- The council reserves the right to refuse permission for any performance or activity that may be considered as controversial or likely to cause offence to residents due to religious, political, moral or other significant reasons.
Fees
- There is no charge for registration.
- The fee for a busker's licence is £36.50.
Licensing
If you are unsure whether you need a licence, please use gov.uk licence finder.
You can read the Street Entertainment Regulations 2011 , made by Hillingdon Council pursuant to Part V of the London Local Authorities Act 2000.
Registration and renewals
As part of the registration process, we will need the following information from you:
- written proof of the applicant's National Insurance number
- a copy of a valid passport (with a work permit if a non-European Citizen)
- a passport-sized photograph of each person involved in the street entertainment; this must be signed on the back by that person
- evidence of public liability insurance - minimum sum of £2,000,000 - that must be checked by the council each year
- established performers should provide relevant references from other local authorities or London Underground Limited or establishments where those applicants are currently performing.
Apply
To register as a street entertainer, or apply for a licence to perform, please complete the relevant form.
Apply to register as a street entertainer
Apply for permission to perform street entertainment
We need to receive your application form and fee at least 10 working days before the date you want to start.
We will aim to process your application within 14 working days. If you have not heard from us within this timescale, tacit consent applies. This means you will be able to act as though your application is granted. If we have not contacted you, please get in touch with us.
Failed application and/or licence holder redress
If your application has not been sucessful, please contact email licensing@hillingdon.gov.uk.



